Špecifikácia nehnuteľnosti
Spoločnosť Slovak Estate s.r.o. ponúka na predaj pozemok na reakreaciu v podiele 1/1 v katastrálnom území Lazy pod Makytou, okres Púchov.
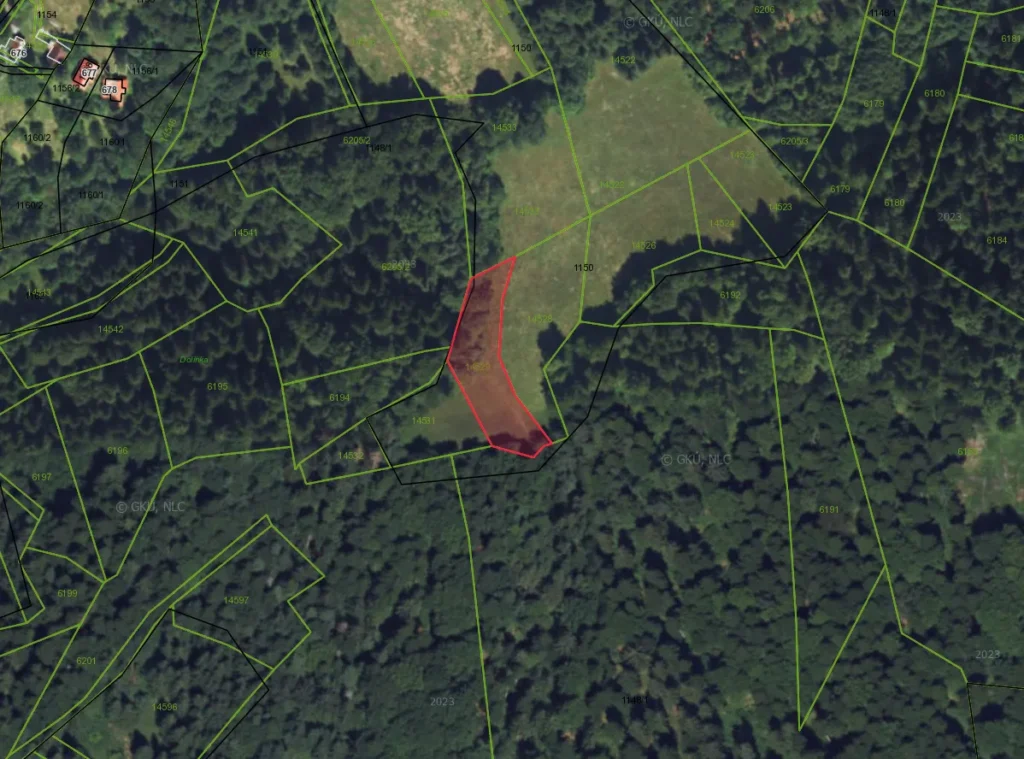
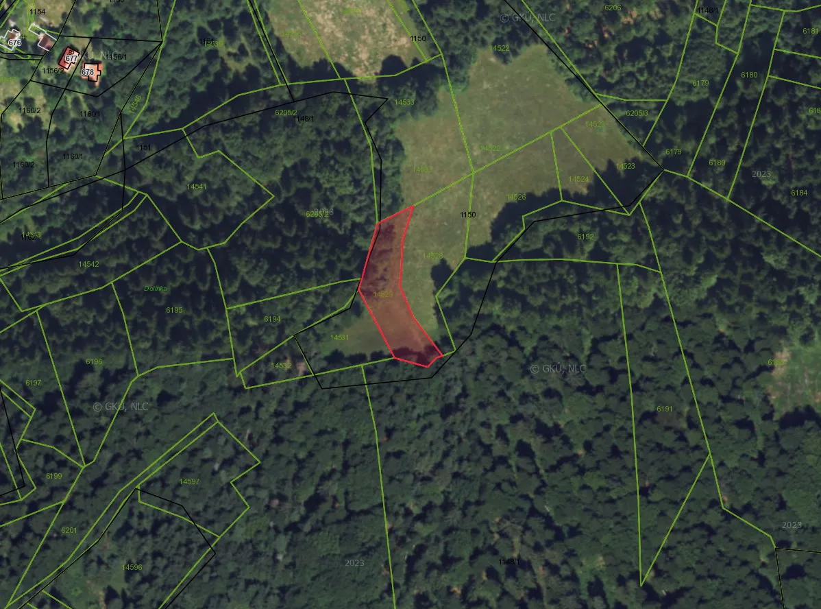
– Predávaný pozemok – parc. reg. „E“ 14529 je evidovaná na liste vlastníctva č. 2438 pre katastrálne územie Lazy pod Makytou, pričom na liste vlastníctva je vedená ako Orná pôda.
– Celková výmera pozemku je 1.836 m2.
– Pozemok má nepravidelný tvar, priemerná šírka je cca 20m.
– Pozemok je prístupný po lesných cestách.
– Mapu s vyznačením parcely možno nájsť v galérii inzerátu, medzi fotografiami.
– GPS súradnice na pozemok: 49.281278, 18.198572. Obhliadku možno realizovať kedykoľvek samostatne.
– Pozemok je nezaťažený a dostupný ihneď. Uvedená cena je konečná a zahŕňa kompletný právny servis vrátane prípravy kúpnych zmlúv, vklad do katastra nehnuteľností a správne poplatky.
Máte otázku?
Spojte sa s predajcom tejto nehnuteľnosti, ktorý Vám ochotne poradí a zodpovie Vaše otázky
Kontaktovať predajcuLokalita
Zaujala Vás nehnuteľnosť?
Spojte sa s naším predajcom
Investujte na Veľkú noc do nehnuteľností
Stovky nehnuteľností so zľavou až do 30%.
Už od 250€. Iba do 12.4.2026.
