Špecifikácia nehnuteľnosti
Spoločnosť Slovak Estate s.r.o. ponúka na predaj spoluvlastnícke podiely na poľnohospodárskej pôde a lesoch v katastrálnom území Poniky, okres Banská Bystrica.
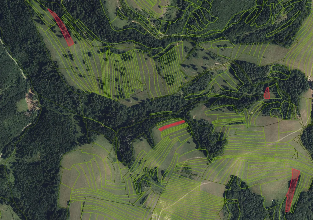
– Výmera predávaných spoluvlastníckych podielov tvorí celkom 3.567,03 m2. Pozemky sú evidované na listoch vlastníctva č. 667, 668, 669, 670, 2039, 2040, 2041, 2042, 2043, 2890, 3340, 3362, 3384, 3406, 3793, 3798, 3801, 3914, 4091, 4155, 4299, 4314, 4487 pre katastrálne územie Poniky, okres Banská Bystrica, pričom na listoch vlastníctva sú vedené ako Orná pôda a Trvalý trávny porast.
– Pozemky sú vhodné pre poľnohospodárov, lesných hospodárov a do prebiehajúceho projektu komasácií (sceľovania pozemkov).
– KOMASÁCIE: Sceľovanie pozemkov je projekt prebiehajúci po celom území SR, ktorého úlohou je „sceliť“ veľmi rozdrobenú a nevyporiadanú pôdu v extraviláne (nezastavanom území – lesy, lúky, pôda…) na Slovensku. Po scelení sa spočíta každému majiteľovi pozemkov jeho celková výmera v danom katastrálnom území a svoju pôdu dostane na jednom (alebo viacerých) pozemkoch v 100% podiele 1/1, kde bude výlučným vlastníkom celého pozemku a bude s ním môcť nakladať podľa vlastného uváženia. Územia sa sceľujú na základe viacerých faktorov postupne. Kúpa spoluvlastníckych podielov na pôde je teda vhodnou investičnou voľbou, nakoľko aj pôda rastie na hodnote medziročne takmer neustále, rovnako ako iné typy nehnuteľností.
– Mapu s vyznačenými parcelami možno nájsť v galérii inzerátu, medzi fotografiami.
– V cene je zahrnutý kompletný právny servis vrátane prípravy kúpnych zmlúv, vklad do katastra nehnuteľností a správne poplatky.
Máte otázku?
Spojte sa s predajcom tejto nehnuteľnosti, ktorý Vám ochotne poradí a zodpovie Vaše otázky
Kontaktovať predajcu